9월 2주,
페이지 정보
작성자 관리자 쪽지보내기 메일보내기 자기소개 아이디로 검색 전체게시물 (112.♡.201.200) 작성일25-09-15 22:05 조회4,199회 댓글0건본문
현재 좌대 위치는 지난주와 동일합니다.
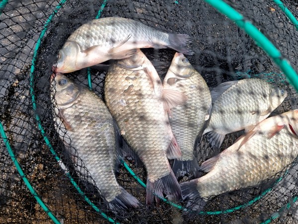
지난 주말 조황은 7치급부터 월척·허리·4짜급
다양한 사이즈의 붕어 조과가 있었습니다.
수요일 비소식이 있다하니 기대해봅니다.
지난 주말 조황은 7치급부터 월척·허리·4짜급
다양한 사이즈의 붕어 조과가 있었습니다.
수요일 비소식이 있다하니 기대해봅니다.
댓글목록
등록된 댓글이 없습니다.

