추석 연휴,
페이지 정보
작성자 관리자 쪽지보내기 메일보내기 자기소개 아이디로 검색 전체게시물 (112.♡.201.200) 작성일25-10-13 23:05 조회3,117회 댓글0건본문
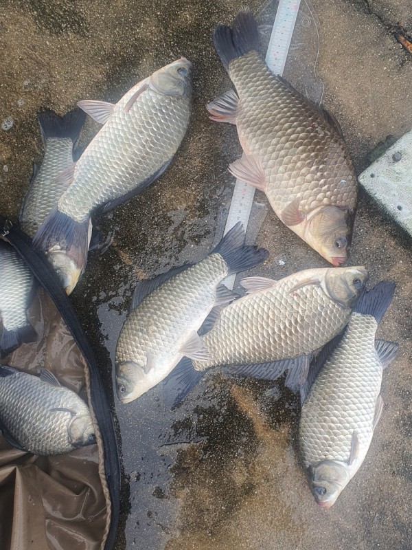
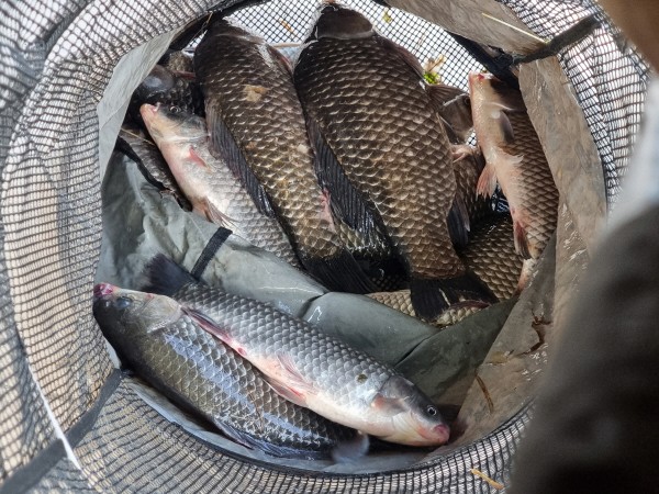
이번 추석 연휴 기간에는 대체로
호조황을 보였습니다!
이번주 비소식으로 수위는 만수가 되었습니다~
좌대위치는 수몰지역으로 바뀌었으니
좌대배치도 참고하세요.
다음주부터는 추운 날씨가 예상되니
난로, 텐트, 따뜻한 겨울 옷차림 등 준비는 필수입니다~
호조황을 보였습니다!
이번주 비소식으로 수위는 만수가 되었습니다~
좌대위치는 수몰지역으로 바뀌었으니
좌대배치도 참고하세요.
다음주부터는 추운 날씨가 예상되니
난로, 텐트, 따뜻한 겨울 옷차림 등 준비는 필수입니다~
댓글목록
등록된 댓글이 없습니다.

